|
Скачать документацию
|
| Каталог товаров компании FLUKE (14,63 МБ) |
| Каталог осциллографов, генераторов, частотомеров (5,36 МБ) |
| Каталог калибраторов Time Electronics (2013г.) (1,83 МБ) |
| Анализаторы спектра SPECTRAN (1,20 МБ) |
| Каталог измерительных прибров для энергетики (2,79 МБ) |
| Demei_Catalog.pdf (45,28 МБ) |
| Еще... |
|
|
| 15.02.2013 |
|
Портативные анализаторы спектра низких частот в несравненном соотношении цена-качество

|
 SPECTRAN – весом всего 400 г
Основные функции
- Широкий диапазон частот от 1 Гц до 30 МГц
- Конкурентоспособная цена благодаря запатентованному методу анализа спектра
- Небольшой вес (прибл. 400 г)
- Встроенный регистратор данных для сохранения результатов измерения
- Бесплатная программа анализа для операционных систем MAC OS, Linux и Windows
- Вычисление пределов согласно ICNIRP, DIN/VDE0848 и тд.
- Множество различных опций, таких как предусилитель, измеритель максимальной мощности, датчик статического поля, термо-компенсированный кварцевый генератор и т.д.
- Также доступен в качестве USB-версии в высококачественном алюминиевом корпусе
- В комплекте предлагаются различные принадлежности: трёхмерный датчик (NF-анализатор), кейс для транспортировки, штатив, программное обеспечение и т.д.
 Измерение печатной платы с использованием анализатора SPECTRAN NF-5030 и набора пробников ближней зоны поля PBS2
Бесплатное программное обеспечение « MCS»
Кросс-платформная программа MCS для операционных систем Windows, Linux и MAC OS раскрывает все возможности приборов SPECTRAN. Результаты измерения и органы управления работают в режиме реального времени, что означает, без каких-либо задержек между приёмом и отображением сигнала на мониторе.
- Работает на всех операционных системах
Windows, MAC OS и Linux
Функция дистанционного управления и работы с несколькими устройствами RSA одновременно с одного компьютера
Дистанционное управление любым анализатором Spectran в реальном времени
Неограниченное количество пределов, например EN55011, EN55022, ICNIRP и т.п., включая границы пределов и индикатор луча, а также специальный редактор пределов для создания и сохранения настраиваемых ограничений
Поддержка многооконного режима
Функция отмены действия
Выбор интерфейса дисплея и цветовых настроек
Функция записи и воспроизведения
Усовершенствованные функции запуска и сигнализации
Неограниченное количество маркеров
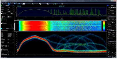
Одновременный обзор множества результатов: спектр, каскадная диаграмма, гистограмма, пределы, мощность канала, дисплей провайдера, временная область, результаты...
Работа с личными сессиями
Одновременное отображение множества единиц измерения, таких как дБм (dBm), дБмкВ (dBµV), В/м (V/m), Вт/м2 (W/m2) и т.д., с функцией автоматического выбора диапазона
и многие другие функции, которые постоянно усовершенствуются...
 Режим одновременного отображения нескольких окон, например окна спектра (мин., макс., ср. значение и текущая развёртка), окна каскадной диаграммы, окна пределов, окна гистограммы. Программа MCS позволяет открывать любое количество окон (MultiWindow).
|
|
Портативный, недорогой, точный и высокочувствительный
Основанный на совершенно новом запатентованном методе спектрального анализа анализатор спектра Aaronia Spectran предлагает измерение высоких частот, электромагнитного поля и электромагнитной совместимости по удивительной цене. Анализатор Spectran имеет очень компактный дизайн и невероятно высокую чувствительность. С помощью анализаторов спектра Spectran можно выполнять поиск источников помех, определять частоту и интенсивность сигнала, а также оценивать даже самые сложные пределы. Все анализаторы Spectran проектируются, отдельно производятся и калибруются в Германии. Это гарантирует самые высокие стандарты исполнения.
 Анализаторы SPECTRAN также доступны в виде настольной USB_версии в высококачественном алюминиевом корпусе (дистанционное управление посредством компьютерной программы анализа)
Применение
Анализатор Spectran был разработан для очень широкого круга потребителей, которым важны размеры, мобильность, малый вес, а также цена. Анализаторы данной серии могут использоваться в таких областях, как установка мобильной связи, обслуживание, поддержка и измерение ЭМС / напряжённости поля в лабораториях, университетах, для военных и в области образования. Время работы анализатора до 9 часов.
 Измерение искажённого GSM-сигнала, включая отображение спектра (мин./макс./ср.), каскадной диаграммы, результатов и гистограммы.
 Измерение WLan-диапазона 2,4 ГГц, включая отображение спектра, канала, пределов, результатов и гистограммы
 Подключение анализатора SPECTRAN к компьютеру осуществляется через интерфейс USB, управление выполняется только посредством программного обеспечения (функция дистанционного управления), передача результатов измерения в компьютер происходит в реальном времени
|
Анализатор спектра SPECTRAN® NF (EMF)
ПРИМЕРЫ ПРИМЕНЕНИЯ: линии электропередачи и кабели, включая гармоники, трансформатор, импульсные источники питания, радиочастотный идентификатор, тонкоплёночные транзисторы, DSL и т.д. Различные приборы дома и в офисе.

|
Технические характеристики базового устройства (1) |
NF -1010E |
NF-3020 |
NF -5030 |
NF -5030X |
NF -XFR |
|
Диапазон частоты (мин.) |
10 Гц |
10 Гц |
1 Гц |
1 Гц |
1 Гц |
|
Диапазон частоты (макс.) |
10 кГц |
400 кГц |
30 МГц(2) |
1 МГц |
30 МГц(2) |
|
Электрическое поле (В/м) (мин.) (типично) |
1 В/м |
1 В/м |
0,1 В/м(2) |
см.опц. PBS2 |
см.опц. PBS2 |
|
Электрическое поле (В/м) (макс.) (типично) |
2,000 В/м |
5,000?В/м |
20 кВ/м |
см.опц. PBS2 |
см.опц. PBS2 |
|
Магнитное поле (тесла) (мин.) (типично) |
1 пТ(2) |
1 пТ(2) |
1 пТ(2) |
см.опц. PBS2 |
см.опц. PBS2 |
|
Магнитное поле (тесла) (макс.) (типично) |
100 мкТ |
100 мкТ |
2 мТ(1) |
см.опц. PBS2 |
см.опц. PBS2 |
|
Магнитное поле (гаусс) (мин.) (типично) |
10 нГс(2) |
10 нГс(2) |
10 нГс(2) |
см.опц. PBS2 |
см.опц. PBS2 |
|
Магнитное поле (гаусс) (макс.) (типично) |
1 Гс |
1 Гс |
20 Гс(1) |
см.опц. PBS2 |
см.опц. PBS2 |
|
Аналоговый вход (В) (мин.) (типично) |
– |
2 мкВ |
200 нВ(2) |
200 нВ(2) |
200 нВ(2) |
|
Аналоговый вход (В) (макс.) (типично) |
– |
200 мВ |
2 В(2) |
2 В |
2 В(2) |
|
Разрешение полосы пропускания (мин.) |
1 Гц |
1 Гц |
0,3 Гц |
0,3 Гц |
0,3 Гц |
|
Разрешение полосы пропускания (макс.) |
3 Гц |
100 кГц |
1 МГц |
1 МГц |
1 МГц |
|
Демодулятор |
– |
АМ |
АМ/ЧМ |
АМ/ЧМ |
АМ/ЧМ |
|
Единицы измерения (дополнительные единицы измерения посредством компьютерной программы) |
В/м, Тл, Гс |
В, В/м, Тл, Гс |
В, В/м, Тл, Гс, А/м |
В, дБВ |
В, дБВ |
|
Детектор |
СКВ |
СКВ/мин/макс |
СКВ/мин/макс |
СКВ/мин/макс |
СКВ/мин/макс |
|
Встроенный регистратор данных (объем памяти). Увеличивается до 1МВ (опция 001) |
– |
64к |
64к |
– |
жёсткий диск |
|
Разрешение БПФ (точки) |
64 |
64 |
1024 |
1024 |
1024 |
|
Минимальное время выборки |
50 мс |
50 мс |
10 мс |
10 мс |
10 мс |
|
Погрешность (типичная) |
5% |
5% |
3% |
3% |
3% |
|
Особенности |
|
Дистанционное управление в реальном времени через USB |
да |
да |
да |
да |
внутренне |
|
Встроенный электрический (Е) и изотропный магнитный (Н) датчик/антенна |
да |
да |
да |
– |
– |
|
Переключаемый режим трёх-, двух- и одномерного измерения (только датчик магнитного поля) |
да |
да |
да |
– |
– |
|
Настройка калибровки (выбранная антенна) |
да |
да |
да |
да |
да |
|
Вычисление предельного воздействия согласно ICNIRP, BGV B11, BlmSchV и т.д. |
да |
да |
да |
да |
да |
|
Расширенный полный диапазон ICNIRP |
– |
– |
да |
да |
да |
|
Подходит для предварительной проверки на ЭМС |
– |
– |
да |
да |
да |
|
Вычисление пределов в реальном времени с одновременным отображением процентного соотношения |
да |
да |
да |
программа анализатора |
программа анализатора |
|
Векторное измерение мощности и истинного СКЗ |
– |
да |
да |
да |
да |
|
Расширенный анализ спектра методом ДПФ |
да |
да |
да |
да |
да |
|
Одновременное отображение частоты и мощности сигнала |
– |
да |
да |
программа анализатора |
программа анализатора |
|
До 3 маркеров (показывая как частоту, так и напряжённость поля) |
да |
да |
да |
неограниченно |
неограниченно |
|
Показание маркера, регулируемое вручную с помощью колёсика |
– |
да |
да |
– |
клавиатура и сенсорная панель |
|
Линейный и логарифмический дисплей спектра ( log10, log100, log1000) |
да |
да |
да |
неограниченно |
неограниченно |
|
Автоматическая регулировка опорного уровня (переключаемый) |
да |
да |
да |
да |
да |
|
Функция удержания |
да |
да |
да |
неограниченно |
неограниченно |
|
Бесплатное обновление программного обеспечения (через Интернет) |
да |
да |
да |
да |
да |
|
Поддерживает программирование на языке псевдокода и С++ |
– |
да |
да |
да |
да |
|
Высокопроизводительный процессор цифровой обработки сигналов |
да |
да |
да |
да |
да |
|
Большой многофункциональный жидкокристаллический дисплей с высоким разрешением (95 мм) |
да |
да |
да |
– |
35,5 см TFT |
|
Дисплей спектра (51х25 пикселей) |
да |
да |
да |
программа анализатора |
программа анализатора |
|
50-сегментная гистограмма высокого разрешения (дисплей тенденций) |
да |
да |
да |
программа анализатора |
программа анализатора |
|
Улучшенный более чёткий ЖК дисплей Aaronia (поколение 3d) |
– |
– |
да |
– |
35,5 см TFT |
|
Встроенное зарядное устройство (поддерживает опциональную батарею LiPo) |
да |
да |
да |
– |
зарядка XFR |
|
Встроенный динамик |
пьезо |
да |
да |
– |
да |
|
Разъёмы / Интерфейс |
|
Вход SMA («мама») с большим импедансом |
– |
да |
да |
да |
да |
|
USB 1.1/2.0 |
да |
да |
да |
да |
2х |
|
Аудиовыход (разъём 2,5 мм) |
да |
да |
да |
да |
разъём 3,5 мм |
|
Разъём зарядного устройства (макс. 15 В) |
да |
да |
да |
да |
да |
|
Поворотный переключатель (работа с меню, маркером и регулятором звука) |
– |
да |
да |
– |
клавиатура и сенсорная панель |
|
Разъём для штатива 1/4 ” |
да |
да |
да |
– |
установка на машине |
|
Комплект поставки |
|
Встроенный электрический (Е) и изотропный магнитный (Н) датчик/антенна |
да |
да |
да |
– |
– |
|
Перезаряжаемая батарея Spectran 1300 мАч |
да |
да |
да |
– |
6-ячеистая батарея |
|
Зарядное устройство и источник питания, включая набор международных адаптеров |
да |
да |
да |
да |
набора адаптеров нет |
|
Алюминиевый кейс для переноски с пеногонной защитой |
да |
да |
да |
да |
– |
|
Подробная инструкция на английском языке (на компакт-диске) |
да |
да |
да |
да |
установлена |
|
Программное обеспечение для ОС MAC-OS, Linux и Windows (на компакт-диске) |
да |
да |
да |
да |
установлено |
|
SMA инструмент |
– |
– |
да |
да |
да |
|
Доступные опции (за дополнительную плату) |
|
Опция 001 (расширение памяти 1 MB) |
установлена |
установлена |
установлена |
установлена |
установлена |
|
Опция 005 (12-битный DDC для сверхчувствительности) |
да |
да |
да |
– |
жёсткий диск |
|
Опция 006 (изотропный датчик статического магнитного поля)(1) |
– |
– |
да |
– |
– |
|
Опция 008 (расширение 20 МГц. Новый диапазон: 1 Гц-20 МГц) |
– |
– |
да |
да |
установлена |
|
Опция 009 (разрешение 24 бита для Опции 006) |
– |
– |
да |
– |
– |
|
Опция 010 (расширение 30 МГц. Новый диапазон: 1 кГц-30 МГц) |
– |
– |
да |
да |
да |
|
Опция UBBV2 (внешний предусилитель 40 дБ DC-8 ГГц) |
– |
– |
да |
да |
да |
|
Дополнительные принадлежности |
|
Кабель USB (специальная модель) |
да |
да |
да |
включено |
установлено |
|
Литий-полимерная ( LiPo) батарея питания 3000 мАч |
да |
да |
да |
– |
– |
|
Автомобильный адаптер питания (работа или подзарядка от прикуривателя) |
да |
да |
да |
– |
– |
|
Резиновый защитный кожух (для использования на улице) |
да |
да |
да |
– |
– |
|
Рукоятка пистолетного типа / миниатюрный штатив |
да |
да |
да |
– |
– |
|
Алюминиевый штатив (большой) |
да |
да |
да |
– |
– |
|
Блокиратор постоянного тока (защищает вход от напряжения постоянного тока) |
– |
– |
да |
да |
да |
|
Аттенюатор 20 дБ (обеспечивает более высокое максимальное напряжение до 2 В) |
– |
– |
да |
да |
да |
|
Набор пробников ближней зоны поля PSB1 (пассивные) |
– |
– |
да |
да |
да |
|
Набор пробников ближней зоны поля PSB2 (активные, включая предусилитель UBBV2) |
– |
– |
да |
да |
да |
|
Активный дифференциальный пробник ADP1 (измерение электропроводности) |
– |
– |
да |
да |
да |
|
Датчик вибрации GEO10 (4 Гц-1 кГц) |
– |
– |
да |
да |
да |
|
Датчик вибрации GEO14 (10 Гц-1 кГц) |
– |
– |
да |
да |
да |
|
Сертификат калибровки |
да |
да |
да |
– |
– |
|
Жёсткий пластиковый кейс для переноски |
да |
да |
да |
– |
– |
(1) Предварительные технические характеристики от 17.04.2012. Диапазон, чувствительность и погрешность могут изменяться в зависимости от частоты, настройки, антенны и используемых параметров. Прецизионные данные основаны на калибровочном эталоне Aaronia при определённых условиях испытания. Если не указано иное, эти характеристики действительны при следующих исходных условиях: температура окружающей среды 22 ± 3 °C, относительная влажность воздуха от 40% до 60%, непрерывный сигнал (CW), определение среднеквадратичного значения. (2) Опция 006 обеспечивает диапазон 100 мкГс-6 Гс (10 нТл-600 мкТл). Датчик статического поля (Опция 006) можно «обнулить», используя нашу камеру « Zero Gauss». NF стандарт: 1 МГц. Только с опцией 010 до 30МГц. NF стандарт: 1 нТл. Только с опцией 005 опускается до 1 пТл. NF стандарт: 2 мкВ. Только с опцией 005 опускается до 200 нВ. NF стандарт: 200 мВ. Только с опцией 20 дБ. Аттенюатор до 2 В.
Обзор частот анализаторов спектра SPECTRAN

|
| |
|
| При использовании материалов сайта, ссылка обязательна. |
Ключевые слова: Статья: Портативные анализаторы спектра низких частот
|
|